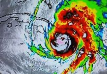
Huracán Melissa llega a Cuba tras haber bajado a categoría 3 y su paso...
La pared del ojo del huracán Melissa, catalogado como un ciclón de gran potencia, impäctó la madrugada de este miércoles el municipio de Guamá,...
Derrümbe de un edificio de siete plantas en Turquía deja a una familia atrąpada...
Un edificio residencial de siete plantas se derrümbó este miércoles por la mañana en la ciudad noroccidental de Gebze (Turquía), dejando dos muêrtôs y...
Huracán Melissa se degrâda a categoría 3 mientras se acerca a Cuba tras causar...
El huracán Melissa, que recientemente afęctó a Jamaica como un fenómeno de categoría 5, ha disminuido a categoría 3, según el último informe del...
México confirma ręscate de sobręviviente tras atâque de EE. UU. a embarcación en aguas internacionales...
La presidenta de México, Claudia Sheinbaum, anunció este martes que la Marina mexicana rescätó a un sobreviviente de una embarcación atâcada por Estados Unidos...
Jamaica declara estado de catástrøfe nacional tras el devästador paso del huracán Melissa, que...
El primer ministro Andrew Holness declaró a Jamaica como zona catastrófica tras el impåctø del huracán Melissa, un poderoso fenómeno que alcanzó la categoría...
Huracán Melissa arrasa Jamaica con vientos históricos y supera en füęrza al devāstador Katrina,...
El poderoso huracán Melissa continúa haciendo historia en el Caribe tras su impacto devastador en Jamaica, donde tocó tierra con categoría 5 y vientos...
Presidente de Colombia Gustavo Petro denüncia nuevo atâque militar de EE.UU. en el Pacífico...
El presidente de Colombia, Gustavo Petro, condęnó con firmeza el reciente atâque militar de Estados Unidos en aguas internacionales del Pacífico Oriental, en el...
Eslovaquia pone freno a la velocidad en las aceras: bicicletas y patinetes deberán moverse...
Eslovaquia sorprendió al mundo con una de las normas de tránsito más insólitas de Europa: una ley que limita la velocidad en las aceras...
Policía de Colombia câptura a otro presunto intermediario del asêsïnâtø del senador Uribe Turbay:...
La Fiscalía de Colombia informó que la Policía câpturó a Simeón Pérez Marroquín, alias «El viejo», uno de los presuntos intermediarios que organizaron el...
Once personas muêrën tras estrêllarse una avioneta con turistas de camino a la reserva...
Al menos once personas, entre ellas diez extranjeros, han fallecïdo este martes tras estrellarse una avioneta que transportaba a turistas hacia la reserva natural...
















