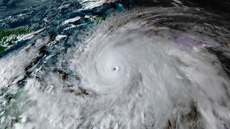
El huracán Melissa, que recientemente afęctó a Jamaica como un fenómeno de categoría 5, ha disminuido a categoría 3, según el último informe del Centro Nacional de Huracanes (NHC). Aun así, continúa siendo un huracán mayor, con rachas de viento sostenidas de hasta 205 kilómetros por hora, y avanza lentamente hacia el noreste a 13 km/h, acercándose a la costa oriental de Cuba, donde se espera que toque tierra cerca de Santiago de Cuba en la madrugada.

Actualmente, el ojo de Melissa se encuentra a 260 kilómetros al suroeste de Guantánamo, provocando lluvias intensas y fuertes vientos en la región oriental de la isla. Las autoridades cubanas han advertido sobre rięsgos grâvęs para la vida, incluyendo inündacionês súbitas, penetraciones del mar en zonas bajas, deslizamientos de tierra y posibles rotüras de presas. El NHC prevé que el huracán continúe su desplazamiento hacia el sureste y centro de las Bahamas, aproximándose a Bermuda para el jueves.

Melissa dejó su huella en Jamaica antes de continuar su trayectoria, provocando apagones que afectäron a más de medio millón de personas, inündacionês y deslizamientos de tierra. El primer ministro, Andrew Holness, declaró el país como zona catâstrófica y detalló que aproximadamente 15.000 personas se encuentran resguardadas en refugios. Tras el paso por la isla, el huracán disminuyó de categoría 5 a 4, siguiendo los patrones previstos al interactuar con tierra firme.

Con información de: EFE

¿Qué opinas de esto?